Wałcz (gw), Golce

Działka na sprzedaż

Opis nieruchomości

SUPER OKAZJA !!! HIT DLA CENIĄCYCH CISZĘ, SPOKÓJ, LAS I WODĘ !!!
DZIAŁKA W GOLCACH GM. WAŁCZ Z MEANDRUJĄCĄ RZEKĄ DOBRZYCĄ W GRANICY DZIAŁKI, Z AKTUALNYMI WARUNKAMI ZABUDOWY MIESZKALNEJ!!!

 
Oferujemy piękną działkę o powierzchni 9969m2, zlokalizowaną w Golcach gm.Wałcz, bezpośrednio położoną nad Dobrzycą/rzeka meandruje w granicy działki/, z wydanymi warunkami zabudowy mieszkalnej. Warunki zabudowy obejmują możliwość posadowienia nawet dwóch, wolnostojących domów-powierzchnia zabudowy do max 320 m2 łącznie. Szerokość elewacji frontowej to wymiary 10m do 16m. Dopuszcza się dach dwuspadowy od 35º do 45º, przy maksymalnej wysokości kalenicy, do 9m.
Istnieje możliwość wykorzystania części działki jako stawu.
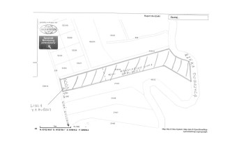
W celach poglądowych, na końcu galerii zdjęć zamieściliśmy mapę działki w oparciu o Geoportal, wraz z naszymi przypisami.

JEŚLI LUBISZ NATURĘ TO LOKALIZACJA IDEALNA DLA
CIEBIE !!!
DO WAŁCZA TYLKO KILKA MINUT, DO PIŁY 0,5 GODZ.!!!

 
ZAPRASZAMY NA PREZENTACJĘ !!!
 

BEZPŁATNA POMOC W UZYSKANIU KREDYTU !!!
 

Dane opisu nieruchomości podane są przez zamawiającego.
Powyższy opis ma charakter informacyjny i nie stanowi oferty w rozumieniu przepisów Kodeksu Cywilnego. Wszelkie prawa zastrzeżone!
Opis oraz zdjęcia są własnością biura.
Kopiowanie, powielanie, wykorzystywanie zdjęć i opisu bez zgody autora zabronione.


 

Nota prawna

Opis oferty zawarty na stronie internetowej sporządzany jest na podstawie oględzin nieruchomości oraz informacji uzyskanych od właściciela, może podlegać aktualizacji i nie stanowi oferty określonej w art. 66 i następnych K.C.

Szczegóły oferty

Symbol oferty ABC-GS-97291
Powierzchnia 9 969,00 m²
Przeznaczenie działki rolna z prawem zabudowy
Stan prawny własność
Ukształtowanie działki częściowo zalesiona
Kształt działki wielokąt
Dojazd droga gruntowa
Otoczenie rzeka
Położenie na wsi
Prąd w trakcie prowadzenia

Lokalizacja

Kalkulator kredytowy

PLN
%
Wysokość raty

Kalkulator kosztów

PLN
PLN
PLN
PLN
PLN
PLN
%
PLN
Podatek od czynności cywilno-prawnych
Taksa notarialna (opłata notarialna)
VAT od taksy notarialnej (opłaty notarialnej)
Wniosek do WKW
VAT od wniosku do WKW
Prowizja agencji nieruchomości
VAT od prowizji agencji nieruchomości
Wypisy aktu notarialnego - około
RAZEM (cena + opłaty)

Podobne oferty

działka na sprzedaż - Wałcz (gw), Ługi Wałeckie

działka na sprzedaż

Wałcz (gw), Ługi Wałeckie
  8 200,00 m2 63,41 zł/m2

Napisz do nas

Proszę wypełnić to pole
Proszę wypełnić to pole
Proszę wypełnić to pole
Proszę wypełnić to pole
Trwa wysyłanie...

Ta strona wykorzystuje pliki cookies w celach statystycznych oraz w celu dostosowania naszych serwisów do indywidualnych potrzeb klientów. Zmiany ustawień dotyczących plików cookie można dokonać w dowolnej chwili modyfikując ustawienia przeglądarki. Korzystanie z tej strony bez zmian ustawień dotyczących cookies oznacza, że będą one zapisane w pamięci urządzenia.

rozumiem