Ryczywół, Boruchowo

Działka na sprzedaż

Opis nieruchomości

NA SPRZEDAŻ DZIAŁKA BUDOWLANA W BORUCHOWIE (GMINA RYCZYWÓŁ)

Ta oferta jest dla osób chcących spełnić marzenia o budowie własnego domu!

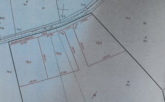
Przedmiotem oferty jest działka budowlana o powierzchni 989 m2 położona w Boruchowie (gmina Ryczywół, powiat obornicki).
Działka w kształcie trapezu.
Działka budowlana z możliwością wystąpienia o warunki zabudowy.
Na cały teren przed podziałem została wydana Decyzja o Warunkach Zabudowy na budowę budynku mieszkalnego jednorodzinnego:
- powierzchnia zabudowy: 10,0 - 150,0 m2,
- szerokość elewacji frontowej: 10,0 - 15 m,
- liczba kondygnacji nadziemnych: 1-2 w tym poddasze, dopuszcza się podpiwniczenie budynku,
- wysokość kalenicy budynku: 8,0 - 9,0 m do 9,5 m,
- geometria dachu - dach dwuspadowy o połaciach zbiegających się symetrycznie w kalenicy o nachyleni 30-45 st.

Dojazd drogą asfaltową i ostatnie 200 m drogą gruntową.
Działka nieuzbrojona w media - woda w drodze, prąd w ulicy.
Boruchowo ma bardzo dogodne położenie.
Do pobliskich miejscowości jest: - Wełna 4 km, - Ruda i Ryczywół 8 km, - Rogoźno 12 km, - Oborniki 16 km, - Wągrowiec 27 km, - Chodzież 30 km.
W odległości 8 km od Boruchowa przebiega droga krajowa nr 11 Kołobrzeg - Bytom.

CENA  - 70 zł/ m2

Zapraszam do kontaktu

Nota prawna

Opis oferty zawarty na stronie internetowej sporządzany jest na podstawie oględzin nieruchomości oraz informacji uzyskanych od właściciela, może podlegać aktualizacji i nie stanowi oferty określonej w art. 66 i następnych K.C.

Szczegóły oferty

Symbol oferty FRC-GS-198193
Powierzchnia 989,00 m²
Przeznaczenie działki budowlana
Stan prawny własność
Zagosp. działki niezagospodarowana
Ukształtowanie działki płaska
Kształt działki trapez
Ogrodzenie działki brak

Kalkulator kredytowy

PLN
%
Wysokość raty

Kalkulator kosztów

PLN
PLN
PLN
PLN
PLN
PLN
%
PLN
Podatek od czynności cywilno-prawnych
Taksa notarialna (opłata notarialna)
VAT od taksy notarialnej (opłaty notarialnej)
Wniosek do WKW
VAT od wniosku do WKW
Prowizja agencji nieruchomości
VAT od prowizji agencji nieruchomości
Wypisy aktu notarialnego - około
RAZEM (cena + opłaty)

Podobne oferty

działka na sprzedaż - Ryczywół, Boruchowo

działka na sprzedaż

Ryczywół, Boruchowo
  893,00 m2 70,00 zł/m2

Napisz do nas

Proszę wypełnić to pole
Proszę wypełnić to pole
Proszę wypełnić to pole
Proszę wypełnić to pole
Trwa wysyłanie...

Ta strona wykorzystuje pliki cookies w celach statystycznych oraz w celu dostosowania naszych serwisów do indywidualnych potrzeb klientów. Zmiany ustawień dotyczących plików cookie można dokonać w dowolnej chwili modyfikując ustawienia przeglądarki. Korzystanie z tej strony bez zmian ustawień dotyczących cookies oznacza, że będą one zapisane w pamięci urządzenia.

rozumiem